这是老鸦柿下山桩的花芽 还是叶芽 图片
2020-11-05
60
核心提示:老鸦柿下山桩的花芽,还是叶芽?明年就知道了。我也是这种好多,不够饱满!叶芽居多,运气好的话会开一两朵。现在看不出来吧!一
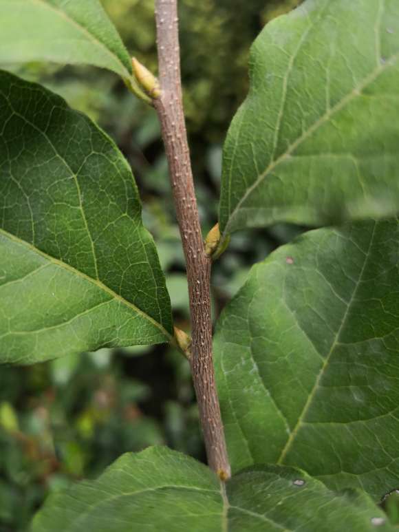
老鸦柿下山桩的花芽,还是叶芽?
明年就知道了。


我也是这种好多,不够饱满!叶芽居多,运气好的话会开一两朵。
现在看不出来吧!一般什么时候能看出来?
过段时间再拍帮看看。

下山桩嫁接正好,饱满的为花芽。
饱满圆润为花芽,芽尖为叶芽,谢谢,终于找到答案了。
这就是花芽。我拍的都是主杆上发得芽,就一图看着比较饱满,还不知道是不是?

主枝花芽不多见,你的现在看不出有花,再过俩月应该能分辨。
花芽一般都在侧枝上的吧,那个带刺的枝。
