日租界:近代公园的引入
日租界于1898年开辟,其园林建设在相当一段时间内乏善可陈,却是各租界中首先将“公园”问题提上议事日程的,这应与日本明治维新之后力求融入世界体系、寻求国家近代化的心态,及其本土对于西方公园理念与实践的普遍受纳有关[32]254-283,也与张公堤1905年建成后更为有效地控制水患,从而获得更多可资利用的城市建设用地这一客观事实有关。

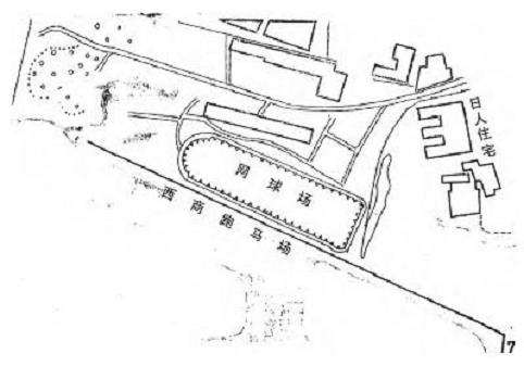
1920年,汉口日本领事濑川浅之进在《公园、运动场设置及取引所发起人专项基金问题》中提道:“眼下日本在留民感到最痛苦的就是公园及运动场的欠缺,在留外人也是如此,只有极少数的本邦人能够利用宏大的西商赛马场俱乐部。[33]”共乐花园和四季花园即于同年建成。共乐花园位于西商跑马场以北,东临日人住宅建筑群,面积0.81hm2,园内有草坪、绿篱及各种树木,南侧沿围墙设有网球场,是其时日本人公园思想中“运动的价值”的体现[32]260(图7)。
从园内提供的公共娱乐设施来看,共乐花园虽无“公园”之名,却有“公园”之实。共乐花园同时辟有圃地,生产草花和木本花卉,产品供四季花园销售。但四季花园既不开放游览,也不培育花苗,出售花卉和花圈是其仅有的功能,“系专门为死人服务的”[16]36;而四季花园与此前1909年设立在日租界旁的万国公墓相距不远,据此可知该花园选址及其特定功用的考量,可见在近代汉口对于“花园”或“公园”亦存在不同理解,也说明日租界园林除却民众游览娱乐、施行殖民政治之外,同时维系租界社会运转的功能多样性。


1920年,汉口日本领事濑川浅之进在《公园、运动场设置及取引所发起人专项基金问题》中提道:“眼下日本在留民感到最痛苦的就是公园及运动场的欠缺,在留外人也是如此,只有极少数的本邦人能够利用宏大的西商赛马场俱乐部。[33]”共乐花园和四季花园即于同年建成。共乐花园位于西商跑马场以北,东临日人住宅建筑群,面积0.81hm2,园内有草坪、绿篱及各种树木,南侧沿围墙设有网球场,是其时日本人公园思想中“运动的价值”的体现[32]260(图7)。
从园内提供的公共娱乐设施来看,共乐花园虽无“公园”之名,却有“公园”之实。共乐花园同时辟有圃地,生产草花和木本花卉,产品供四季花园销售。但四季花园既不开放游览,也不培育花苗,出售花卉和花圈是其仅有的功能,“系专门为死人服务的”[16]36;而四季花园与此前1909年设立在日租界旁的万国公墓相距不远,据此可知该花园选址及其特定功用的考量,可见在近代汉口对于“花园”或“公园”亦存在不同理解,也说明日租界园林除却民众游览娱乐、施行殖民政治之外,同时维系租界社会运转的功能多样性。

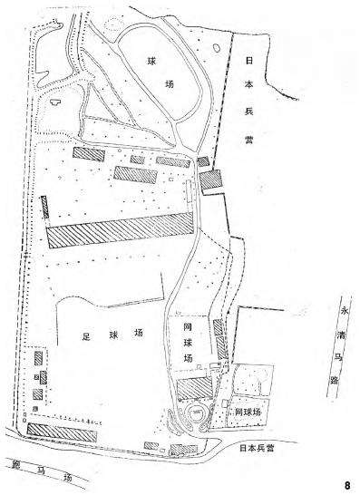
1925年,位于西商跑马场北侧的原兵营驻地被改建为日本公园,是汉口各国租界中第一个且仅有的名为“公园”的园林。日本公园面积约5hm2[34],平面矩形,东南入口(图8)。

同年的《旅行杂志》有游记描述园景:“初入门,有喷水池一,水声潺潺,别具匠心。折而前进,则绿茵一片,平坦如毡……时方暮春,樱花怒放,瓣出五星,色作淡红,灼灼其华……旁植冬青,叶茂枝繁,艺园者剪作桌状,乃置果饵其上,席地而食,恍惚此身亦已横渡彼邦。[35](图9)”
除了樱花作为日本国花的特定植物配置,以及西方园林营造风格的喷泉、草坪外,还引入了网球场、足球场、棒球场等多种开放的游憩空间形式;亦有源于西方、受纳于日本本土的“刈込”灌篱修剪之法,但在日本公园中,其不仅是一种通常意义上的植景要素,更成为野餐休闲的载体,反映了日本人对娱乐活动的丰富诉求及其在园林空间中的多样化延伸。

同年的《旅行杂志》有游记描述园景:“初入门,有喷水池一,水声潺潺,别具匠心。折而前进,则绿茵一片,平坦如毡……时方暮春,樱花怒放,瓣出五星,色作淡红,灼灼其华……旁植冬青,叶茂枝繁,艺园者剪作桌状,乃置果饵其上,席地而食,恍惚此身亦已横渡彼邦。[35](图9)”
除了樱花作为日本国花的特定植物配置,以及西方园林营造风格的喷泉、草坪外,还引入了网球场、足球场、棒球场等多种开放的游憩空间形式;亦有源于西方、受纳于日本本土的“刈込”灌篱修剪之法,但在日本公园中,其不仅是一种通常意义上的植景要素,更成为野餐休闲的载体,反映了日本人对娱乐活动的丰富诉求及其在园林空间中的多样化延伸。
在建设日本公园的过程中,另有提议在公园设立神社并进行募捐,一如1915年在天津大和公园内即建有天津神社[36],但后来仅在公园东侧竖立了“建设预留地”的木桩[34],这或许和当时日本更青睐在公园营造中纳入“西洋趣味”而非“东洋趣味”有关[32]246,而公园用地面积的限制也不得不将后者排除在外。
汉口神社最终于1935年由日本神道教建于大正街十字路口[37],用以祭祀天皇,后成为发布信息、鼓吹战争的场所[18]391。在政治权力交替、兵燹战乱的过程中,神社屡毁屡建,承载了租界殖民主义与军国主义的深刻印记。与英租界、法租界园林相仿,日租界园林不仅是异域风格的游憩空间,也被赋予了特定的政治与社会内涵。
汉口神社最终于1935年由日本神道教建于大正街十字路口[37],用以祭祀天皇,后成为发布信息、鼓吹战争的场所[18]391。在政治权力交替、兵燹战乱的过程中,神社屡毁屡建,承载了租界殖民主义与军国主义的深刻印记。与英租界、法租界园林相仿,日租界园林不仅是异域风格的游憩空间,也被赋予了特定的政治与社会内涵。